
A developer has revised their proposal to expand a data center consisting of two data buildings on a remediated Superfund site in East Whiteland Township. This revision would increase the combined size of the two buildings by about 61%.
Location
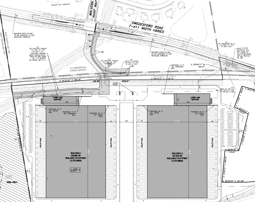
The site is located at 13 South Bacton Hill Road in East Whiteland Township, Pennsylvania. Two data center buildings, each 2-stories high, are proposed with air-cooled chillers located on the roof of each building and emergency generators located to the east and west sides of each building. Residential properties are located to the north across Swedesford Road and to the east across South Bacton Hill Road. The PECO Planebrook Substation is located to the south of the site, commercial/industrial properties are located to the east of the site, and unimproved land and farmland are located to the west of the site in West Whiteland Township. at 13 S. Bacton Hill Road, near U.S. Route 202.

Changes as Per East Whiteland’s Meeting Minutes
Below are the minutes from the January 28, 2026 township meeting regarding the changes:
The Amended Plan differs from the Previously Approved Plan as follows:
a. total building square footage has increased from 1,026,800 s.f. to 1,656,630 s.f. (along with related increases in building coverage and impervious coverage)
b. cooling equipment has been redesigned and relocated from the ground immediately adjacent to the buildings (water-consuming cooling towers) to the rooftop (waterless rooftop chillers) along with corresponding sound mitigation barriers
c. emergency back-up generators have been relocated from the basement of the buildings to the ground immediately adjacent to the buildings along with corresponding sound mitigation barriers d. office uses and loading facilities have been relocated from the southern side of the buildings to the northern side of the buildings facing Swedesford Road
e. additional trees and landscaping have been proposed on the former sewer lagoons located between the development site and Swedesford Road
f. design and location of stormwater management facilities, parking lots, and internal circulation areas have been modified
g. previously proposed microwave towers, antenna yards, and ground-mounted cooling towers eliminated
Next Meeting ~ Wednesday, February 25, 2026

Data Centers not a new Discussion in Chester County
Across Chester County and the surrounding region, proposed data centers are drawing increasing scrutiny from the people who would live next to them. While residents raise concerns about noise, infrastructure strain, and quality of life, their opposition runs up against strong support from Gov. Josh Shapiro, who has made data center development a priority. The governor has promoted a 10-year strategy aimed at speeding approvals by reducing regulatory hurdles, and his office recently announced that Amazon plans to invest $20 billion in data centers and artificial-intelligence campuses across Pennsylvania.
That enthusiasm is not widely shared at the local level. A recent survey found that 42% of Pennsylvanians would oppose a data center being built in their own community. This disconnect has left municipal officials in a difficult position, as their authority is often limited when a project is proposed in an area already zoned to allow that type of development.
In nearby East Vincent Township, residents have been urging the board of supervisors to block a proposed data center at the historic Pennhurst State School and Hospital site. While township leaders explored placing restrictions on data centers, they ultimately backed away from adopting an ordinance after the township solicitor warned it could trigger legal action from the developer.
Similar tensions are playing out in East Whiteland Township. As residents asked officials to reject a proposed data center there, township solicitor Michael Gill cautioned that an outright denial may not be legally defensible. He noted that the property is already zoned for data center use and that the township does not have the authority to ban such facilities entirely.
East Whiteland’s Data Center to be Built on Remediated Superfund Site
The proposed East Whiteland facility would be built on a former limestone mining site that later operated as the Foote Mineral lithium ore-processing plant, which closed in 1991. The property underwent a federally supervised Superfund cleanup that was completed in 2010. The site sits across from the Malvern Hunt neighborhood, home to about 280 households, and would intersect with the Chester Valley Trail, a heavily used 18.6-mile path for walkers, cyclists, and runners.
Residents have voiced concerns about constant industrial noise, the safety of private well water, and whether construction on a remediated site could pose health risks.
Worry about the strain a large data center could place on the regional power grid and whether that could translate into higher utility costs to Residents
The developer has said the facility would connect directly to PECO’s Planebrook substation and that the company would pay for necessary upgrades. PECO has previously stated that surrounding customers should not see any service impacts. However, questions about potential increases in consumer electric rates remain unanswered. Township planning director Zachary Barner said officials have not received any detailed analysis showing how the project could affect residential utility costs.
Other Concerns
Some residents are also concerned about property values. One resident expressed that the presence of large-scale industrial facilities can make homebuyers hesitant. He argued that the long-term impacts of noise, energy demand, and heavy infrastructure outweigh any potential tax benefits, especially given that a home is often a family’s largest financial investment.
Great Valley School District would Benefit Greatly
The annual net fiscal impact of the proposed development is projected to be slightly better than break even for the Township and highly favorable for the Great Valley School District. The total annual school district revenue would be $2,579,706.


Contact Us!
Contact our offices in Pottstown or Collegeville!
Collegeville: 610-489-5900
Pottstown: 610-326-1200
OR through our social media pages!
Facebook and Instagram at “REMAXAchieversAgentsinPA”
Instagram:
Facebook:
https://www.facebook.com/SouthEasternPARealEstateSalesAgents

